REQUEST A TOUR If you would like to see this home without being there in person, select the "Virtual Tour" option and your agent will contact you to discuss available opportunities.
In-PersonVirtual Tour

$ 4,200,000
Est. payment /mo
Price Dropped by $200K
1445 Scarlett Ranch Boulevard Carstairs, AB T0M0N0
22 Acres Lot
UPDATED:
Key Details
Property Type Vacant Land
Sub Type Freehold
Listing Status Active
Purchase Type For Sale
MLS® Listing ID A2198926
Lot Size 22.000 Acres
Acres 22.0
Property Sub-Type Freehold
Source Calgary Real Estate Board
Property Description
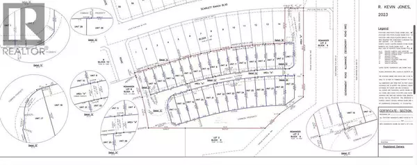
Serviced, ready to build lots available in Carstairs, total 27, smaller batch purchase available, some with plans and have commenced constructions. 27 lots available, minimum purchase 13 lots. Average $100k per lot (half duplex lot). Condo building in this zone only. Also undeveloped land available 20-60 acres, priced to sell.Land is within the townsite of Carstairs. Great existing community, with Schools. Sports grounds nearby. For developers and builders thatis ready to built. New houses are already built across the street. Excellent opportunity given the proximity to HWY 2 and Calgary. 25 minutes to Airdrie, 39 minutes to Calgary (54km). Total 60 acres available. Seller is motivated. (id:24570)
Location
Province AB
Rooms
Kitchen 0.0
Exterior
Parking Features No
Fence Not fenced
View Y/N No
Private Pool No
Others
Ownership Freehold
